Home
The Association
Heritage Resources
Contacts
Supporters
Maps of Eagle Rock and Idaho Falls
1884 Plat Map of the Town of Eagle Rock,
which became Idaho Falls in 1891
Click map to download pdf version
Eagle Rock, Idaho in 1884
Top
MAPS
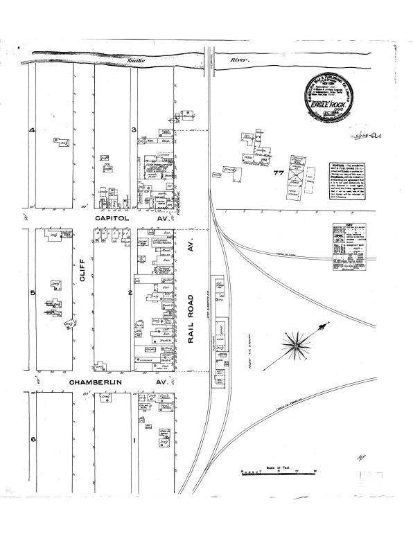
Eagle Rock in 1884
Sanborn Insurance Map
Eagle Rock in 1888
Sanborn Insurance Map
Eagle Rock in 1890
Sanborn Insurance Map
Idaho Falls in 1892
Sanborn Insurance Map
Idaho Falls in 1894
Sanborn Insurance Map
Idaho Falls in 1897
Sanborn Insurance Map
Idaho Falls in 1900
Sanborn Insurance Map
Idaho Falls in 1903
Sanborn Insurance Map
Idaho Falls in 1905
Sanborn Insurance Map
Idaho Falls in 1909
Idaho Register Map
Idaho Falls in 1911
Sanborn Insurance Map
Idaho Falls in 1921
Sanborn Insurance Map
Idaho Falls Downtown
The Business District Map
West Bonneville County about 1937
Idaho Falls and Surrounds
Idaho Falls in 1944
Sanborn Insurance Map